天津市武清区人民政府 2019年12月3日星期二

无障碍 无障碍 简体 | 繁体 长者模式 长者模式

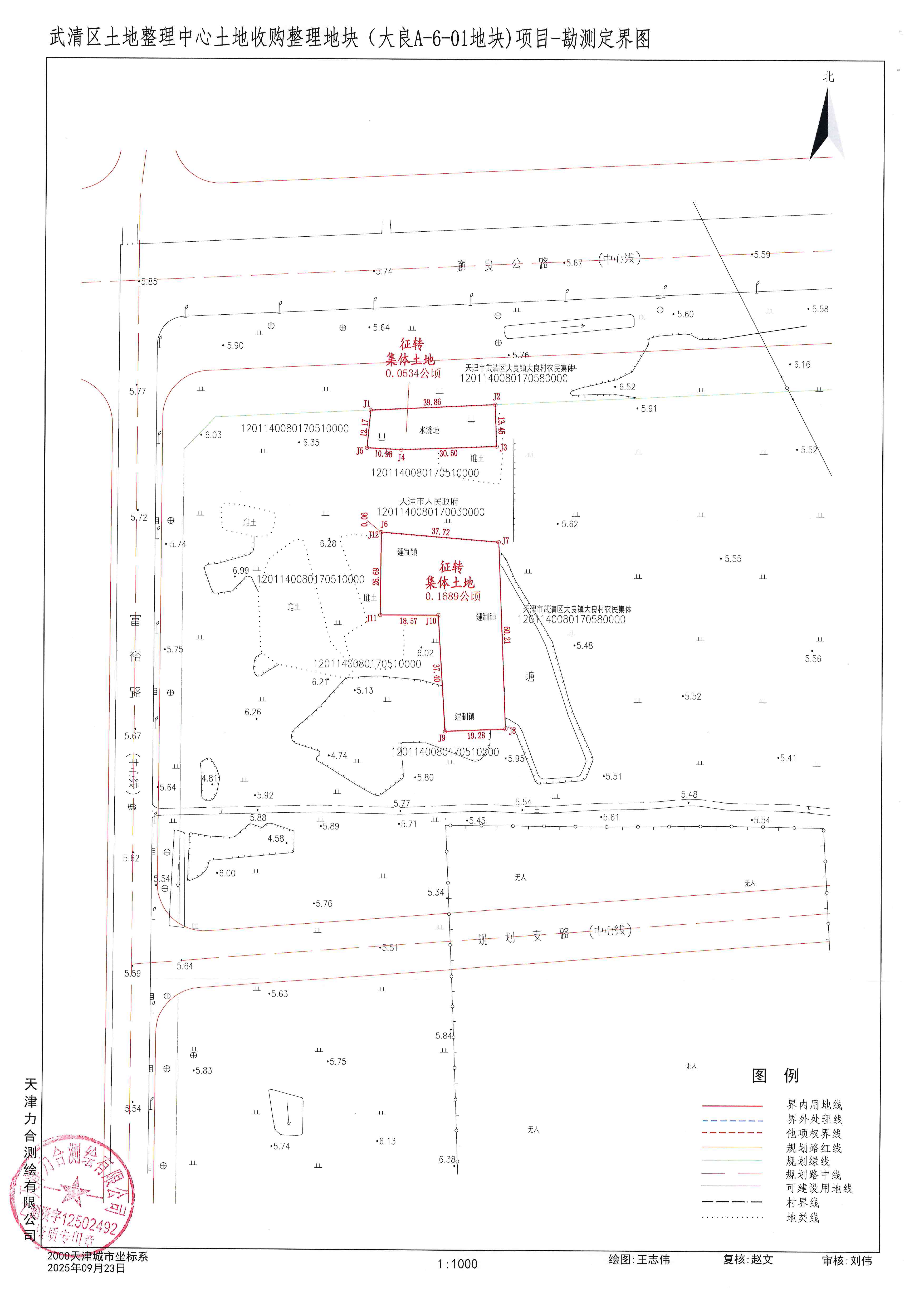
大良镇大良村征收土地补偿安置公告(武清区征补告字〔2025〕第113号)
来源:天津市规划和自然资源局武清分局 发布时间:2025-12-18 15:27


根据《中华人民共和国土地管理法》《中华人民共和国土地管理法实施条例》《天津市土地管理条例》等法律法规规定,为了公共利益需要,拟征收大良镇大良村集体土地0.2223公顷(合3.3345亩)。现就征收土地补偿安置方案主要内容公告如下:

一、拟征收土地目的

依据国土空间规划,规划土地用途为工矿用地。

二、拟征收土地范围

东至大良镇大良村;南至大良镇大良村;西至大良镇大良村;北至大良镇大良村。

具体范围以征收土地勘测定界图为准。

三、拟征收土地现状调查结果

地类

征收土地面积(公顷)

征收土地面积(亩)

耕地

0.0535

0.8025

园地

0

0

林地

0

0

牧草地

0

0

其他农用地

0

0

建设用地

0.1688

2.5320

未利用地

0

0

合计

0.2223

3.3345

四、征地补偿安置

(一)土地补偿费和安置补助费的标准、数额、支付方式和对象

本次征收土地补偿费和安置补助费标准按照《天津市征地区片综合地价标准》执行,为55.5万元/公顷,计12.33765万元。

土地补偿费和安置补助费拟采取货币方式进行补偿,支付给被征地的农村集体经济组织。

(二)农村村民住宅及其他地上附着物和青苗补偿费的标准、数额、支付方式和对象

不涉及农村村民住宅。不涉及其他地上物和青苗。

(三)农业人员的具体安置途径

依照天津市规定,本次征收土地安置农业人口2人,采取货币和社会保障方式进行安置。

1.本次征收土地所涉及的农业人口安置方式由大良镇大良股份经济合作社依法组织村民代表大会讨论决定。

2.本次征收土地社会保险安置农业人口2人,参保人员依据我市被征地农民社会保障相关规定确定。

五、办理补偿登记有关事宜

拟征收土地的所有权人、使用权人应当在本公告张贴发布之日起30日内,持不动产权属证明材料到大良镇大良股份经济合作社办理补偿登记。逾期未办理补偿登记的,其补偿内容以土地现状调查结果为准。

六、申请听证事项、异议反馈渠道和意见提交方式

自本公告张贴发布之日起30日内(至2026年1月18日止),被征地农村集体经济组织及其成员、村民委员会和其他利害关系人对征地补偿安置方案有不同意见的,可以向天津市规划和自然资源局武清分局提出具体意见(联系地址:武清区泉发路12号市规划资源局武清分局;邮编:301700;联系电话:82118600)。

在公告期限内,半数以上被征地农村集体经济组织成员认为征地补偿安置方案不符合法律法规规定要求听证的,区人民政府将组织召开听证会听取意见。公告期内未提出意见的视为无意见,未申请听证的,视为放弃听证权利。

七、组织实施

征地补偿安置方案将根据征求意见情况和听证会情况进行修改并公布。经区人民政府确定后将组织有关部门与拟征收土地的所有权人、使用权人签订征地补偿安置协议,待征收土地申请经依法批准后由区人民政府组织实施。

对个别未签订征地补偿安置协议的,区人民政府将依据征地补偿安置方案、土地现状调查结果和补偿登记结果,依法作出征地补偿安置决定。

特此公告。

武清区人民政府

2025年12月18日