天津市武清区人民政府 2019年12月3日星期二

无障碍 无障碍 简体 | 繁体 长者模式 长者模式

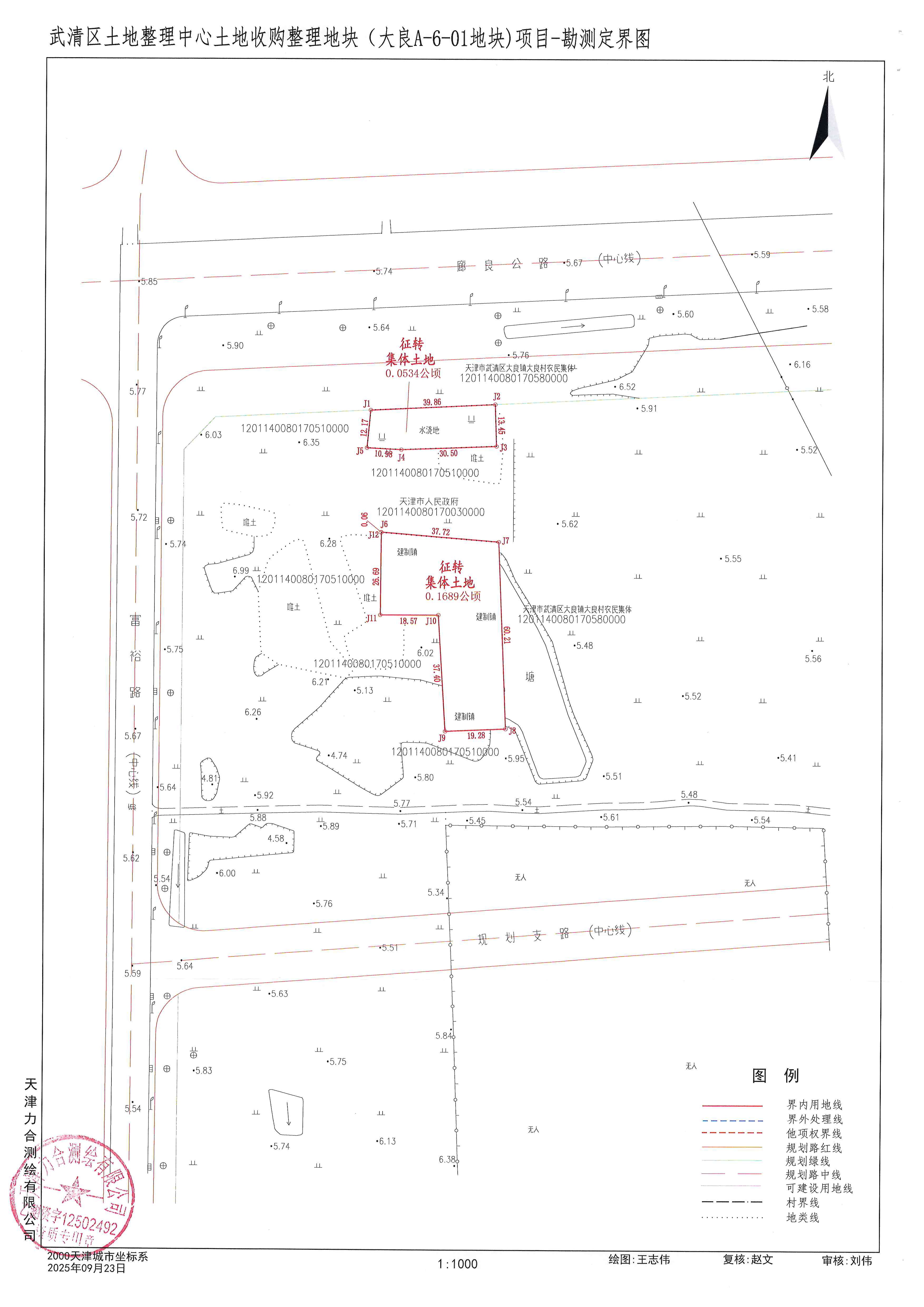
大良镇大良村征收土地预公告(武清区征告字〔2025〕85号)
来源:天津市规划和自然资源局武清分局 发布时间:2025-10-23 15:49


根据《中华人民共和国土地管理法》《中华人民共和国土地管理法实施条例》《天津市土地管理条例》等法律法规规定,为了公共利益需要,拟征收大良镇大良村集体土地。现将有关情况公告如下:

一、拟征收土地目的

依据国土空间规划,规划土地用途为工矿用地。

二、拟征收土地范围

拟征收你村位于武清区大良镇大良村(东至大良镇大良村,南至大良镇大良村,西至大良镇大良村,北至大良镇大良村)的土地,面积约0.2223公顷。准确面积和地类以土地现状调查确定的面积和地类为准。

三、土地现状调查确认安排

拟于2025年10月23日起,由大良镇人民政府、天津市规划和自然资源局武清分局、天津市武清区农业农村委员会等,赴你村开展土地现状调查确认,请有关单位和个人予以支持配合。

四、公告期限

本公告期限自2025年10月23日至2025年11月7日。(十个工作日)

五、其他事项

自本公告发布之日起,任何单位和个人在拟征土地范围内抢建的房屋及其他地上附着物和抢栽、抢种的青苗,征收土地时一律不予补偿。

特此公告。

联系地址:武清区泉发路12号(市规划资源局武清分局)邮编:301700

联系电话:82114627

武清区人民政府    

2025年10月23日