天津市武清区人民政府 2019年12月3日星期二

无障碍 无障碍 简体 | 繁体 长者模式 长者模式

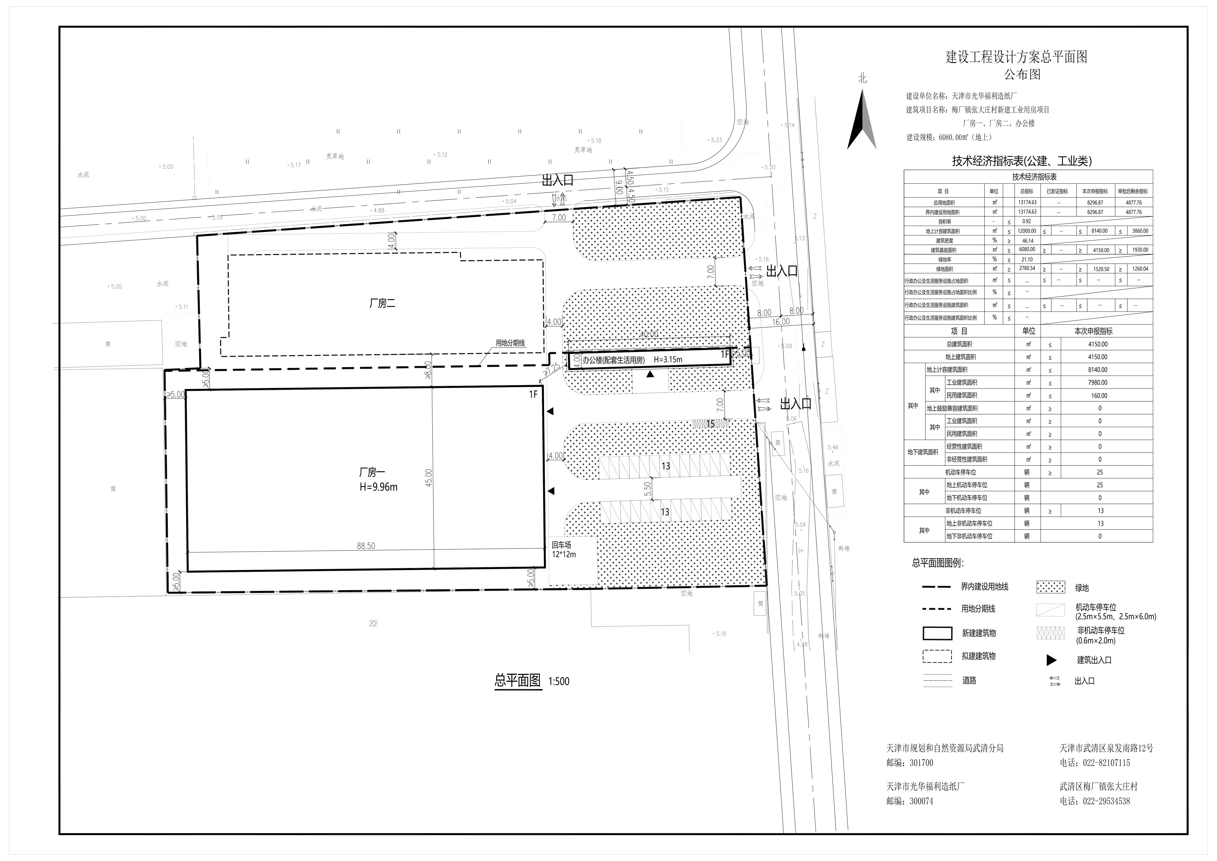
关于梅厂镇张大庄村天津市光华福利造纸厂新建工业用房项目建设工程设计方案总平面图的公布
来源:天津市规划和自然资源局武清分局 发布时间:2026-01-05 15:28


依据《中华人民共和国城乡规划法》、《天津市城乡规划条例》等相关法律法规的有关要求,现将审定后的梅厂镇张大庄村天津市光华福利造纸厂新建工业用房项目建设工程设计方案总平面图进行公布,公布期限自《建设工程规划许可证》批后至建设项目规划核实合格为止。 

天津市规划和自然资源局武清分局

2026年1月5日